For Sale or For Lease - 21555 Roscoe Blvd Canoga Park, 91304

21555 Roscoe Blvd, Canoga Park, CA 91304

Property Details

  • Rare Los Angeles infill opportunity

  • Lots of parking and great access from 3 streets

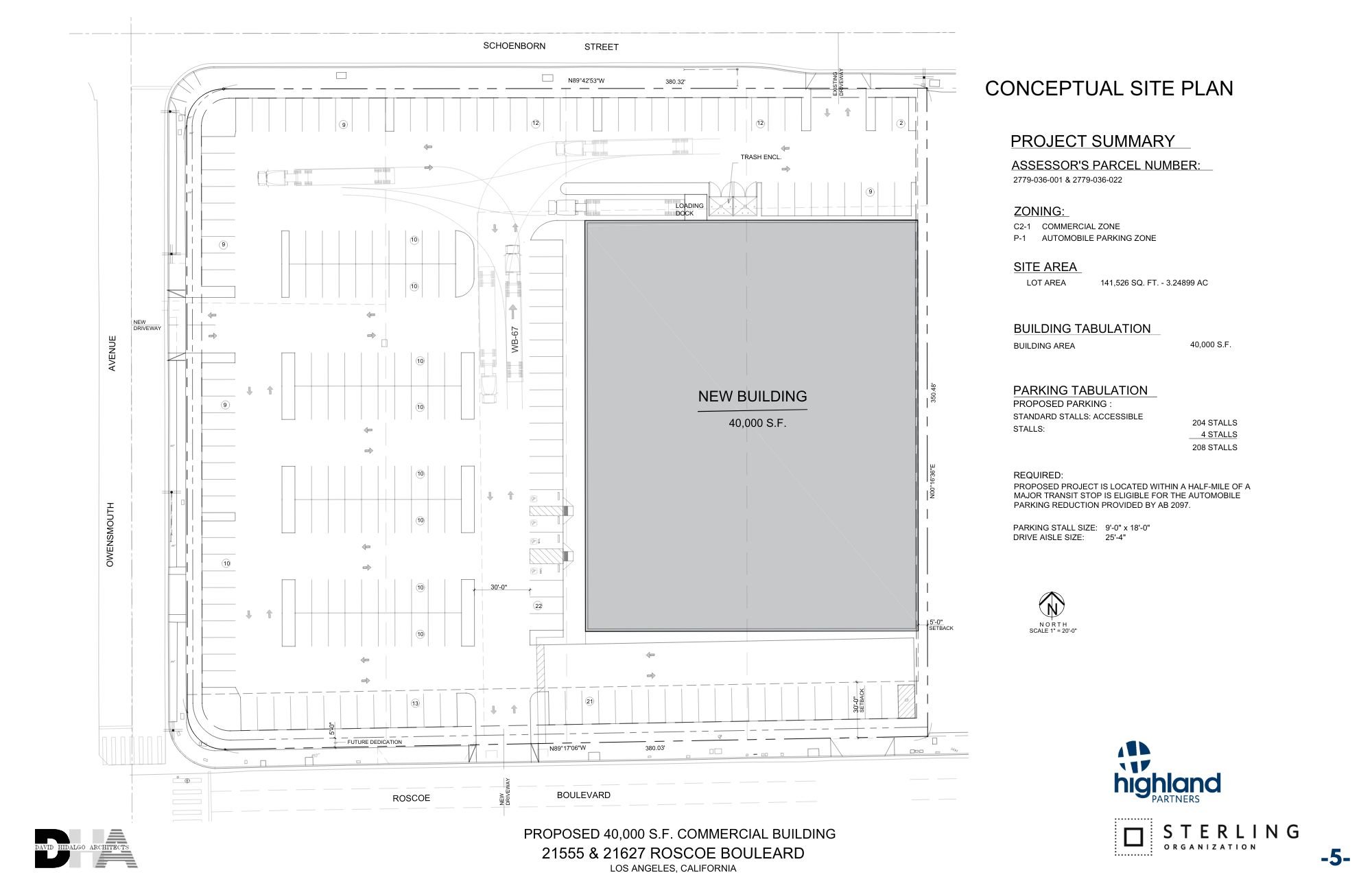
  • Former Grocery store of 27,123 sq ft and additional building 6,485 sq ft

  • Perfect for retail, logistics, car wash, fast food, multi-family/senior housing development.

  • Located across the street to Topanga Police Station

  • Average HH Income $130,531 in 3-mile radius.

Asking Price

Call for Pricing

Building Size

Former Grocery Store- 27,123 sq ft
Building- 6,485 sq ft
Land Parcel- 38,332 sq ft

Land Size

3.25 Acres

Space Use

Office/Retail, Logistics, Car Wash, Fast Food, Multi-Family/Senior Housing Development

Occupancy

Vacant

APN
A. APN #2779-036-001
Land = 0.88 acres (38,332 sq ft)
Building +/- 6,279 sq ft

B. & C.
APN #2779-036-022
Land = 2.37 acres (103,237 sq ft)
Building B = 27,123 sq ft
Building C = 6,485 sq ft

Listing

Michael Borman

21555 Roscoe Blvd, Canoga Park, CA 91304

 
Previous
Previous

New Construction Absolute NNN Leased Property For Sale

Next
Next

For Sale or Lease - 927 Manhattan Beach Blvd